固体径迹探测器

用绝缘固体材料来记录质量大于质子的带电粒子径迹的探测器。材料包括云母、石英及各种矿物晶体;玻璃、陶瓷等非晶体;聚碳酸酯、硝酸纤维、醋酸纤维、聚酯等聚合物塑料。固体径迹探测器是20世纪60年代发展起来的,可探测质子、α 粒子、重离子、裂变碎片和宇宙线中的原子核等。

基本原理

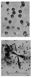
当这些带电粒子通过固体径迹探测器时,在它们的路径上材料产生辐射损伤,形成一条连续的辐射损伤径迹,这种径迹可用电子显微镜观察到。当把带有辐射损伤径迹的材料放入强酸(如氢氟酸、硝酸和盐酸等)或强碱(如氢氧化钾或氢氧化钠溶液)等蚀刻剂中时,由于材料受到辐射损伤部分的化学活性强,能以较快速度从探测器表面开始与蚀刻剂反应,并溶入蚀刻剂,沿辐射损伤径迹出现一条细长的孔洞或蚀锥。同时蚀刻剂也从各种表面腐蚀探测器材料,但速度要慢得多。于是孔洞直径不断扩大。以上过程称为蚀刻,孔洞即为蚀刻后的径迹。当径迹直径扩大到微米数量级时,就可用光学显微镜观察。图1a和1b分别是用硅酸盐玻璃和云母记录的裂变碎片径迹的显微照片。

图1 用硅酸盐玻璃(a)和云母(b)记录裂变碎片径迹的显微照片 图2 阈特性

固体径迹探测器具有明显的阈特性,只有当入射粒子在探测器中产生的辐射损伤密度(相应于沿粒子轨迹上单位长度被电离或激发的原子的个数)大于某一阈值时,才能蚀刻出径迹。这一阈值与探测器材料和蚀刻剂的性质有关,与入射粒子的种类无关,不同材料有不同阈值。如图2所示。无机固体具有较高阈值,只能记录较重的粒子。塑料具有较低阈值,可以记录较轻的重带电粒子。β、γ和 X射线在各种固体径迹探测器中的辐射损伤密度都低于其阈值,不能产生径迹。利用这种阈特性,可以在同时有β、γ、X 射线及较轻粒子的场合无干扰地记录所需要的重带电粒子。

粒子分辨能力

固体径迹探测器具有分辨粒子的能力。同一径迹上不同位置的辐射损伤物质与蚀刻剂反应的速度不同,辐射损伤密度越大,沿径迹的蚀刻速度也越大。测量径迹上某点的蚀刻速度或单位时间产生的蚀锥长度,可以知道该点的辐射损伤密度。辐射损伤密度与入射粒子的电荷数及速度(或能量)有关,测量径迹上某点的蚀刻速度和剩余射程,就可以确定粒子的电荷数、质量数和能量。分辨粒子电荷数的另一种方法是测量最大可蚀刻射程,即在固体径迹探测器中辐射损伤密度大于阈值的一段的长度(即剩余射程)。对同一种探测器材料,同一种粒子的最大可蚀刻射程相同,不同种类粒子的最大可蚀刻射程不同。最大可蚀刻射程与粒子电荷数一一对应。在电荷分辨率方面,对轻原子核,固体径迹探测器不如核乳胶高;但对重原子核,固体径迹探测器比核乳胶要好。

温度的影响

在常温下,固体径迹探测器中的径迹很稳定。比如,裂变碎片在白云母中的辐射损伤径迹,在145℃可保留45亿年以上。因此,组成地球、月岩和陨石的矿物中,保存着自它们生成以来直到目前所记录的各种重带电粒子的径迹,这些矿物,是数亿或数万年以前开始工作的固体径迹探测器,为现代人类积累了大量古代科学资料。在高温下,固体径迹探测器中的径迹发生衰退或消失(称为退化),由矿物中径迹的退火情况,可以推测地球或天体局部或整体的温度变化。

应用

由于固体径迹探测器具有能克服强本底干扰,能测量粒子的电荷、质量和能量,保存古代产生的重带电粒子径迹,位置灵敏和材料普遍等优点,已经得到广泛应用。在原子核物理和粒子物理研究中,利用它不怕强本底干扰的特性,已广泛用来在强入射束中测量裂变几率、裂变寿命、裂变碎片角分布(见核裂变),寻找裂变同质异能素,鉴定加速器合成的超钚元素和超重元素,测量核反应截面、分支比和角分布等,利用阻塞效应测量复合核寿命。利用它分辨电荷和记录古代径迹的能力,在自然界寻找超重核和磁单极子。利用它记录直接或次级重带电粒子径迹,进行地面和高空辐射剂量测量。在天体物理中,利用固体径迹探测器分辨粒子和记录古代径迹的能力,通过分析陨石、月岩和塑料中记录的古代和现代宇宙线中的原子核的成分和能谱、太阳粒子的成分和能谱,正在研究宇宙射线起源、恒星演化、太阳系元素合成和行星演化等方面的问题。在地质学考古学中,利用地球矿物或物体中积累的238U自发裂变径迹和陨石矿物中积累的238U和已绝灭的244Pu自发裂变径迹,可以测定地球物质或天体形成、冷却或受热的年代,以及测定考古年代。在分析化学地球化学、冶金学、结晶学和生物医学中,可以测定铀、钍、钚、硼、锂、铅、铋等多种元素的微小含量和微观分布。在铀矿普查勘探中,通过记录铀子体氡的α径迹,寻找地下铀矿。另外,利用蚀刻后径迹的微孔形状,可以制作电子工业化学工业和医学上需要的微孔过滤器。此外固体径迹探测器还可用作射线照相的底片。

参考书目
  1. R.L.Fleischer,et αl.,Nuclear TRacks in Solids, Univ. of Cal. Press, Berkeley, 1975.