城市测量

为城市建设的规划设计、施工和经营管理等进行的测量工作,包括城市控制测量、城市地形图测绘、各种专题地图的编绘、兴建市政工程时的施工放样以及重要建筑物的变形观测等。在许多国家将地籍测量工作也列为城市测量的一项重要内容。

城市控制测量

在城市地区建立平面控制网和高程控制网的工作。控制网是测绘地形图、施工放样和进行其他各种测绘工作的依据。其精度应满足测绘最大比例尺(1:500)地形图和市政工程放样的要求。平面控制测量常用三角测量和导线测量方法进行。市区的三角点一般选设在高层建筑物上,以利于通视。城市导线常沿道路敷设。测图比例尺较大的地区,控制点应密一些,在测图比例尺较小的地区,控制点可以稀一些。高程控制测量用水准测量方法进行。水准点可以埋在土中,也可设在稳固建筑物的墙上。

城市地形图测绘

城市中各种民用建筑、工业和市政工程建设都受城市规划的指导,编制城市规划需用各种比例尺的地形图。如编制城市整体规划需用比例尺为1:5000~1:25000的地形图;编制分区规划需用比例尺为1:1000~1:2000的地形图;编制街坊、广场的规划以及为具体工程作设计则需用比例尺为1:500~1:1000的地形图。这些地形图有的是实测的,有的是编绘的。实测地形图的比例尺在建筑物密集的大中城市中心区为 1:500,在中小城市中心区、卫星城镇和新兴工业区为1:1000,在市效区为1:2000~1:10000。随着城市建设的发展,地物和地貌不断改变。为使地形图内容能同实地状况一致,必须及时进行地形图修测。修测以原实测地形图为基础,根据变化了的地物、地貌局部修改图上内容。当地物、地貌变化范围较大,或者原实测地形图的比例尺太小而需用更大比例尺的地形图时,要重新实测。测绘城市地形图主要采取平板仪测图法和测记法,也可采用航空摄影测量的方法。

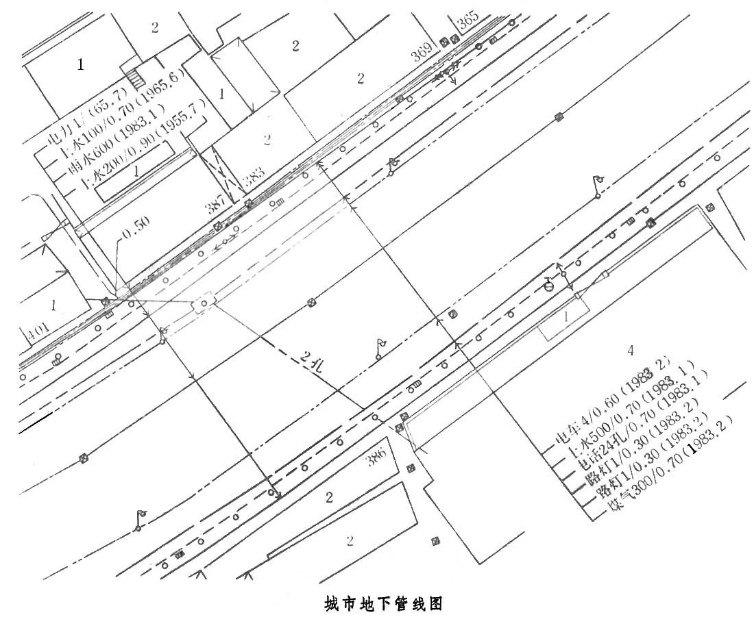
城市专题地图的编绘

以城市地形图为底图,把有关专题资料编辑并标绘在图纸上的工作。城市各部门需要各种专题地图,如城市地形全图、行政区划图、城市交通图、土壤和土地利用图、水利建设图、人口密度分布图、游览图、地下管线图等等。专题地图的有关资料通过多种方法收集,经分析整理以后,再按一定的图例标绘在地形底图上。例如,地下管线图是反映城市上、下水道和高、低压电缆等各种地下管线的位置和埋深等资料的专题地图(见图)。编制时所需的资料有的是利用窨井实测,有的向有关部门收集,最后汇编在城市大比例尺地形图上,成为综合管线图,或分类管线图。比实测地形图的比例尺较小的地形图,一般在室内用较大比例尺地形图缩小编绘而成。

图 市政工程放样

包括城市道路、桥梁、地下铁道和上、下水道等工程施工时的放样工作(见施工测量)。此外,在城市中兴建任何建筑物,都必须由城市测量部门定出拨给土地的界线。这项工作称为拨地测量。平行于道路中线的两旁建筑用地的边界线称为规划红线。规划红线的放样是城市测量的一项重要工作,它保证道路两旁的建筑用地与规划红线平齐。

建筑物变形观测

为测定市内高层建筑、大型桥梁、电视塔和展览馆等重要建筑物的沉降、倾斜和位移等变形量所进行的测量工作(见变形观测)。如果城市地表有下沉现象时,还必须进行地表沉降观测

城市地籍测量

测定地块境界和计算面积的工作,目的是合理规划土地的使用,维护土地的产权和计算税收等(见地籍测量)。

资料存贮

城市测量工作需长期进行,所保存的测绘资料(大部分是图)数量庞大而且不断增加。长期以来,城市测绘资料的贮存、图的编制和更新描绘等工作主要采用手工操作。至20世纪70年代,一些国家试验借助电子计算机进行上述工作。即把各种实测地形图资料、控制测量的成果和编制专题地图的有关资料,经数字化处理后用电子计算机贮存起来,构成城市数字地形资料库,然后根据用户的不同要求,从资料库中索取有关资料,再经计算机的外围设备制图,或打印出所需的数据。修测、重测的资料经数字化处理后,用电子计算机送到相应的存贮单元中去替代或补充原有的资料。(见彩图)

城市测量----在城市高层建筑物顶上的三角点进行观测