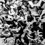
蠕墨铸铁 [拼音]:rumo zhutie [外文]:vermicular graphite iron 石墨呈蠕虫状的铸铁(图1、图2),是20世纪60年代中期研制成功的。它的石墨形态介于片状石墨和球状石墨之间,所以力学性能也介于普通灰口铸铁和球墨铸铁之间。蠕墨铸铁的化学成分(%)通常为:C3.5~3.9,Si2.2~2.8,Mn 0.4~0.8,P<0.06,S<0.06,R(稀土)0.04~0.06。它的物理性能和铸造性能优于球墨铸铁,接近普通灰口铸铁。蠕墨铸铁广泛用来制作钢锭模、排气管、汽缸等。 阅读全文