粉煤灰

工业固体废物的一种。煤燃烧所产生的烟气中的细灰,一般是指燃煤电厂从烟道气体中收集的细灰,又称飞灰、烟灰。

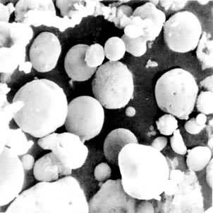
粉煤灰是煤粉进入1300~1500℃的炉膛后,在悬浮燃烧条件下经受热面吸热后冷却而形成的。由于表面张力的作用,粉煤灰大部分呈球状,表面光滑,微孔较小。一部分因在熔融状态下互相碰撞而粘连,成为表面粗糙、棱角较多的蜂窝状组合粒子(见图)。

电子显微镜下的粉煤灰(1 000倍)

成分

粉煤灰的化学成分和矿物组成同燃煤成分、煤粉粒度、 锅炉型式、 燃烧情况以及收集方式等有关。一般粉煤灰的化学成分见表1,物理性质见表2。

图 图

粉煤灰中主要物相是玻璃体,占50~80%;所含晶体矿物主要有:莫来石、α-石英、方解石、钙长石、硅酸钙、赤铁矿和磁铁矿等,此外,还有少量的未燃碳。

危害

粉煤灰排放量与燃煤中的灰分有直接关系,灰分愈高,排放量就愈大。据中国燃用煤的情况,燃用1吨煤约产生 250~300公斤粉煤灰。中国目前每年约排放粉煤灰3000多万吨。大量的粉煤灰如不加处理,会成为扬尘污染大气,排入水系会使河流淤塞,而其中某些化学物质还会对人体和生物造成危害。

处理和利用

粉煤灰的处理和利用问题从20世纪20年代开始研究,半个世纪以来取得许多成果。不少国家将它作为一种新的资源来利用。美国已将粉煤灰列为12种重要的固体原料之一。中国在近30多年以来,对粉煤灰的研究和利用也取得较大的进展。粉煤灰数量很大,由于技术和经济条件的限制,一般还不能全部利用起来,要堆存一部分。

粉煤灰的堆存

根据电厂所处的地理位置,可选择附近的山沟、 洼地、废河湾、 煤矿塌陷区修建贮灰场。贮灰场底部要有防水防渗设施。贮灰场要妥善管理,在已堆满的灰场上覆土造田,植树种草或进行表面药物处理,防止粉煤灰飞扬。

粉煤灰的利用

可以用于工农业等许多方面。

(1)用于农业。粉煤灰施于土壤,可改善土壤的物理结构,提高地温和保水能力。粉煤灰含有磷、 钾、 镁、硼、钼、锰、钙、铁、硅等植物所需的元素。适量施用粉煤灰能促进作物的生长,增加产量。粉煤灰还能明显提高农作物对麦锈病、稻瘟病、大白菜烂心病和果树黄叶病等的抗病能力,也能增加豆科作物的固氮能力。

粉煤灰主要用于改良轻重粘土、生土、酸性土、盐碱土,还用于覆盖小麦、水稻育秧,以及用于城市垃圾堆肥或生产复合肥料。

(2)用于工业。粉煤灰中含有较多的氧化硅和氧化铝,它们在常温下能与氢氧化钙起化学反应,生成较稳定的水化硅酸钙和水化铝酸钙,这使粉煤灰具有水硬活性。粉煤灰中大部分颗粒为表面光滑的玻璃体,能增进水泥拌合物的易和性,使拌合物易于输送和操作。因此可在建筑材料工业、土木建筑工程中广泛利用。也可作为生产粉煤灰蒸养砖、粉煤灰粘土烧结砖、粉煤灰煤矸石烧结砖、粉煤灰硅酸盐砌块、墙板、粉煤灰石膏板、粉煤灰陶粒、粉煤灰加气混凝土等的原料。粉煤灰还是生产硅酸盐水泥、火山灰质硅酸盐水泥、粉煤灰特种水泥等的主要原料。粉煤灰还广泛用作水泥砂浆和混凝土的掺合料,也可作为道路路基工程材料和稳定地基材料。

粉煤灰中的空心玻璃体称为空心微珠,可用作炸药、塑料、橡胶、沥青、喷料、 涂料、 绝缘材料、防火材料以及玻璃钢中的填料。粉煤灰中还含有一定数量的铁、铝、钛、钒、锗等金属,可用不同方法提取回收。

参考文章