[拼音]:Fandui Benbenzhuyi
[外文]: Combat Book Worship
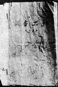
毛泽东1930年5月为反对当时中国工农红军中的教条主义思想而写的关于调查研究问题的重要著作。原名《调查工作》。这是毛泽东最早的一篇马克思主义的哲学著作。现在收集到的最早版本是1930年8月23日中国共产党赣西南特委翻印的石印本。1964年5月收入人民出版社出版的《毛泽东著作选读》甲种本,同时出版了单行本。
在这篇著作中,作者从认识论高度第一次鲜明地提出“没有调查,就没有发言权”,“中国革命斗争的胜利要靠中国同志了解中国情况”等著名论断;阐明了社会调查的重要意义,以及调查的目的、对象、内容、方法和一些技术细节;揭露了教条主义的错误及其对革命事业的危害,批评了红军中一部分人安于现状、墨守成规、迷信“本本”、不愿作实际调查的保守思想。文中还表达了学习马克思主义必须同中国的实际情况相结合的思想,并在中国共产党的历史上最早明确地提出党的思想路线问题,强调共产党人要坚持从斗争中创造新局面的思想路线。
这篇著作提出和阐明的重要思想原则,是辩证唯物主义认识论在实际工作中的具体运用和生动概括,是作者应用马克思主义从事社会调查,同主观主义特别是教条主义作斗争的历史经验的科学总结。它反映了毛泽东思想的三个基本点,即实事求是、群众路线和独立自主的思想雏型,标志毛泽东哲学思想的初步形成。